- Project Value: $13 Million
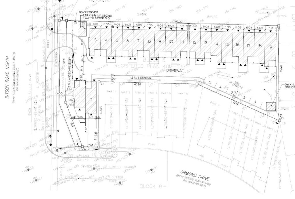
- Scope: Led the project from initial rezoning and site plan approval through to the complete construction of 18 townhome units.
- Key Detail: Managed the full entitlement and construction process, transforming a single-family lot into a high-density residential community.








